* **People.com** señala que, a pesar de su debilitamiento a categoría?3, Erin mantiene su peligrosidad. Ya ha provocado inundaciones, deslizamientos y 9 muertes en Cabo Verde, antes de convertirse en huracán. Continúa representando una amenaza significativa para Puerto Rico, Bahamas y las Islas Vírgenes.
([People.com][5])
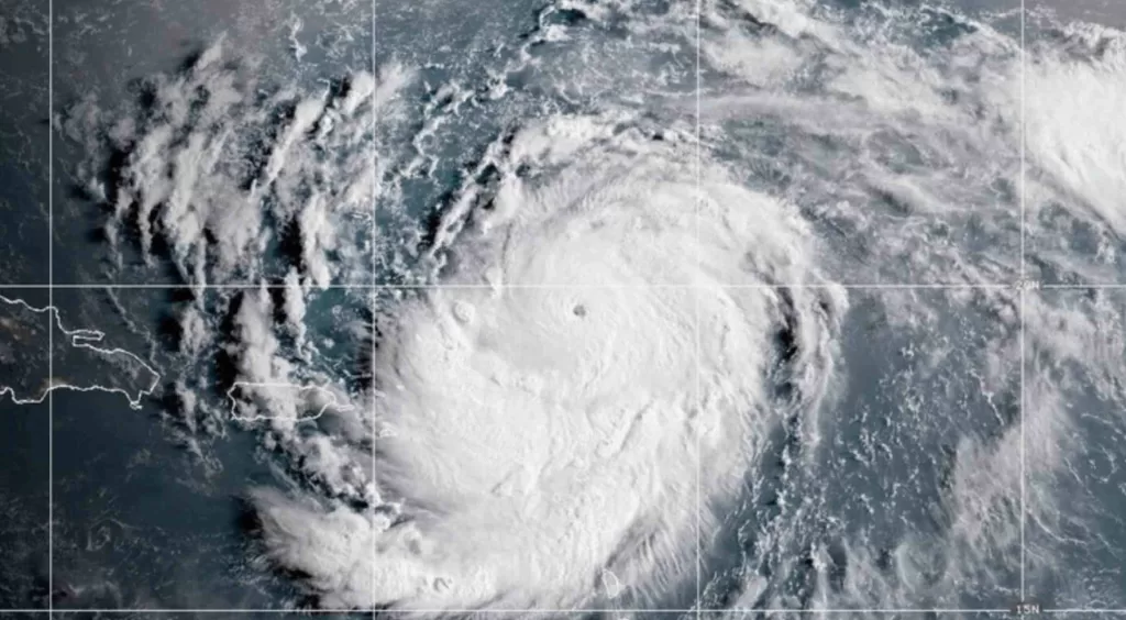
EntornoInteligente.com / Erin es el **primer gran huracán de la temporada atlántica 2025**, pues alcanzó rápidamente la **categoría?5** el 16 de agosto, convirtiéndose en una de las intensificaciones más rápidas registradas en el Atlántico. Posteriormente, se redujo a categoría?4 y luego a 3, aunque se mantiene un sistema poderoso.
—
### Avances destacados según las fuentes
* **Reuters** informa que Erin ha sido degradado a categoría?4, con vientos sostenidos de 140?mph (225?km/h), navegando hacia el noroeste entre Islas de Sotavento, Puerto Rico y las Bahamas mientras genera olas significativas que podrían afectar la costa este de EE.UU.
([Reuters][2])
* **New York Post** advierte que, aunque no tocará tierra continental, reajustes en su trayectoria podrían provocar **oleaje peligroso y corrientes de resaca** desde Florida hasta Nueva Inglaterra. Además, en Puerto Rico ya se registraron cortes de energía y lluvias fuertes.
([TELEMUNDO.com][3])
* **Associated Press** destaca que el huracán había emergido como huracán categoría?5 en apenas unas horas, una aceleración formidable, atribuida al cambio climático y temperaturas oceánicas elevadas.
([AP News][4])
* **People.com** señala que, a pesar de su debilitamiento a categoría?3, Erin mantiene su peligrosidad. Ya ha provocado inundaciones, deslizamientos y 9 muertes en Cabo Verde, antes de convertirse en huracán. Continúa representando una amenaza significativa para Puerto Rico, Bahamas y las Islas Vírgenes.
([People.com][5])
* **Cadena SER** confirma que Erin ha vuelto a categoría?4 y aunque no tocará tierra, se esperan lluvias intensas, inundaciones y posibles deslizamientos en Puerto Rico, Bahamas y Antillas Menores; además, el huracán está creciendo en tamaño y podría duplicar o triplicar su diámetro.
([Cadena SER][6])
* Según **The Economic Times**, Erin está en fase de "eyewall replacement", un proceso que puede fortalecer temporalmente la tormenta. Ya provoca lluvias intensas en Puerto Rico y las islas Vírgenes, con alertas activas.
([Zoom Earth][7])
* **LA?Times** destaca que los vientos se han reducido a 125?mph (200?km/h), pero que el huracán mantiene estructura organizada, girará hacia el norte y podría seguir siendo peligroso hasta mediados de semana.
([Los Angeles Times][8])
—
Erin ha demostrado un desarrollo explosivo, alcanzando la categoría 5 en tiempo récord, una clara señal del ambiente propicio para ciclones intensos en esta temporada. Aunque ha disminuido a categoría 3, su tamaño creciente y estructura sólida lo mantienen como amenaza latente. Su trayectoria lo mantiene lejos del continente, pero sus efectos —en especial olas masivas, corrientes de resaca y lluvias intensas— ya muestran impacto en Puerto Rico, Bahamas y la costa este de EE.UU.
Las condiciones permitirán que el huracán influya en el clima regional aún sin tocar tierra directamente. Su evolución es crítica para determinar riesgos futuros y preparar medidas de protección adecuadas.
—
* [AP News](https://apnews.com/article/9801bea558cc1fb9005f1c5235354a67?utm_source=chatgpt.com)
* [Reuters](https://www.reuters.com/business/environment/erin-downgraded-formidable-category-4-hurricane-nhc-says-2025-08-17/?utm_source=chatgpt.com)
* [People.com](https://people.com/damage-expected-hurricane-erin-downgraded-11789859?utm_source=chatgpt.com)
[2]: https://www.reuters.com/business/environment/erin-downgraded-formidable-category-4-hurricane-nhc-says-2025-08-17/?utm_source=chatgpt.com "Erin downgraded to formidable Category 4 hurricane, NHC says"
[3]: https://www.telemundo.com/noticias/noticias-telemundo/desastres-naturales/erin-huracan-puerto-rico-inundaciones-alerta-estados-unidos-rcna225345?utm_source=chatgpt.com "El huracán Erin vuelve a categoría 4: no se prevé que toque tierra, pero sus lluvias pueden causar inundaciones en Puerto Rico"
[4]: https://apnews.com/article/9801bea558cc1fb9005f1c5235354a67?utm_source=chatgpt.com "Category 4 Hurricane Erin buffets northern Caribbean islands but not forecast to hit land"
[5]: https://people.com/damage-expected-hurricane-erin-downgraded-11789859?utm_source=chatgpt.com "'Life-Threatening' Damage Expected to Hit Several Areas, Despite Hurricane Erin's Downgrade to Category 3 Storm"
[6]: https://cadenaser.com/nacional/2025/08/16/el-huracan-erin-alcanza-la-categoria-cuatro-en-el-atlantico-cadena-ser/?utm_source=chatgpt.com "El Centro Nacional de Huracanes rebaja la categoría del huracán 'Erin' a 4"
[7]: https://zoom.earth/storms/erin-2025/?utm_source=chatgpt.com "zoom.earth/storms/erin-2…"
[8]: https://www.latimes.com/espanol/internacional/articulo/2025-08-17/erin-se-debilita-a-huracan-de-categoria-3-meteorologos-esperan-que-gire-hacia-el-norte?utm_source=chatgpt.com "Erin se debilita a huracán de categoría 3, pero se prevé …"
